EKKO_Project™ GPR Software - Examine Software Bundle
Optimize GPR Line Data and add your interpretations
Builds on Core to unlock tools to display, optimize and add your interpretations to GPR line data for a more complete analysis and understanding of your data.
| Plot and scroll multiple lines simultaneously to quickly identify targets in your data. | ![]() |
|---|
New V6 R2 FeatureUse Autogain to ensure deeper, weaker targets are identified. |
![]() |
|---|
| Remove flat lying reflectors that mask target hyperbolas with the background subtraction filter. | ![]() |
|---|
| Selectable color palettes | ![]() |
|---|
| Adjust font and Axes | ![]() |
|---|
| Velocity Calibration for accurate depth estimates | ![]() |
|---|
| Show target position on Google Earth |
|---|
| Apply topographic correction to correct GPR for elevation | ![]() |
|---|
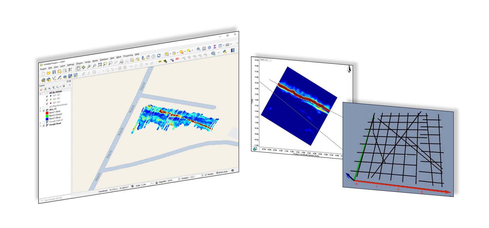
| By adding interpretations (points, polyline, boxes and annotations) to your GPR line data, you can easily point out subsurface objects and boundaries and document findings right inside EKKO_Project. | ![]() |
|---|
| Interpretations added to GPR lines are plotted in MapView and help to confirm the locations of utilities and reveal weaker targets that could be missed. | ![]() |
|---|
| Add interpretations to multiple lines simultaneously. |
|---|
| Photos, videos, and audio clips can be attached to flags in your GPR data to create multi-media flags that assist with data interpretation while analyzing the data in EKKO_Project. | ![]() |
|---|
Multi-media Flags
EKKO_Project V6 adds a new feature to the Interpretation module: multi-media flags, which combine flags and multi-media file attachments. This provides an easy way to transfer field notes to a specific location in your data and provides a complete archive of your results to be used when analyzing your data.
![]() |
|---|
| Communicate your data insights by exporting interpretations into other file formats, such as Google Earth KMZ, Spreadsheet CSV, CAD, GIS, and present to your audience. | ![]() |
|---|
New V6 R2 FeaturePolylines and MapView Interpretations on multiple lines can be exported to third-party software to plot GPR reflection surfaces. |
![]() |
|---|
Included in Examine, Reveal, 3D Reveal, Suite, and 3D Suite Bundles
| Shipping | This Item Ships from Fremantle, Perth, Western Australia |
Please allow 2 - 10 days for your order to arrive.
Although Most Stocked Products will generally Ship Overnight. We source products from all over the world to bring you epic offers and the lowest prices. This means sometimes you have to wait a little longer to get your order but it's always worth it!
Returns are easy.
simply contact us for a returns number and send your item to our returns centre for fast processing. We'll get you a replacement or refund in a snap!
Description
EKKO_Project™ GPR Software - Examine Software Bundle
Optimize GPR Line Data and add your interpretations
Builds on Core to unlock tools to display, optimize and add your interpretations to GPR line data for a more complete analysis and understanding of your data.
| Plot and scroll multiple lines simultaneously to quickly identify targets in your data. | ![]() |
|---|
New V6 R2 FeatureUse Autogain to ensure deeper, weaker targets are identified. |
![]() |
|---|
| Remove flat lying reflectors that mask target hyperbolas with the background subtraction filter. | ![]() |
|---|
| Selectable color palettes | ![]() |
|---|
| Adjust font and Axes | ![]() |
|---|
| Velocity Calibration for accurate depth estimates | ![]() |
|---|
| Show target position on Google Earth |
|---|
| Apply topographic correction to correct GPR for elevation | ![]() |
|---|
| By adding interpretations (points, polyline, boxes and annotations) to your GPR line data, you can easily point out subsurface objects and boundaries and document findings right inside EKKO_Project. | ![]() |
|---|
| Interpretations added to GPR lines are plotted in MapView and help to confirm the locations of utilities and reveal weaker targets that could be missed. | ![]() |
|---|
| Add interpretations to multiple lines simultaneously. |
|---|
| Photos, videos, and audio clips can be attached to flags in your GPR data to create multi-media flags that assist with data interpretation while analyzing the data in EKKO_Project. | ![]() |
|---|
Multi-media Flags
EKKO_Project V6 adds a new feature to the Interpretation module: multi-media flags, which combine flags and multi-media file attachments. This provides an easy way to transfer field notes to a specific location in your data and provides a complete archive of your results to be used when analyzing your data.
![]() |
|---|
| Communicate your data insights by exporting interpretations into other file formats, such as Google Earth KMZ, Spreadsheet CSV, CAD, GIS, and present to your audience. | ![]() |
|---|
New V6 R2 FeaturePolylines and MapView Interpretations on multiple lines can be exported to third-party software to plot GPR reflection surfaces. |
![]() |
|---|
Included in Examine, Reveal, 3D Reveal, Suite, and 3D Suite Bundles
Shipping
| Shipping | This item ships to |
Delivery & Returns
Please allow 2 - 10 days for your order to arrive.
Although Most Stocked Products will generally Ship Overnight. We source products from all over the world to bring you epic offers and the lowest prices. This means sometimes you have to wait a little longer to get your order but it's always worth it!
Returns are easy.
simply contact us for a returns number and send your item to our returns centre for fast processing. We'll get you a replacement or refund in a snap!
6 Great reasons to buy from us:
-
30 Days Return
If your product is faulty or damaged under manufacture warranty, simply send it back to us and we'll cheerfully replace it or fix the problem for you. -
Returns are Easy
Simply contact us for a returns number and send your item to our returns centre for fast processing. We'll get you a replacement or refund in a snap! -
Best Price Guarantee
In the unlikely event that you find your item cheaper at another online store, just let us know and we'll beat the competitor's pricing hands-down. -
We guarantee your satisfaction
We insist that you love everything you buy from us. If you're unhappy for any reason whatsoever, just let us know and we'll bend over backwards to make things right again. -
100% Safe & Secure
Ordering from Laserman Technologies is 100% safe and secure so you can rest easy. Your personal details are never shared, sold or rented to anyone either. -
Best Laser Warranties in the Business
Laserman the Best Laser Level, Pipe Laser and Laser Measuring Warranties in the Business - Now thats unbeatable value !!.












